Status: For Sale
- Days For Sale
- 466
Location
- Area:01A Loris Area--West of Loris & North of HWY 9
- City:Green Sea
- County:Horry
- State:SC
- Subdivision: Not within a Subdivision
- Zip code:29545
Amenities
Description
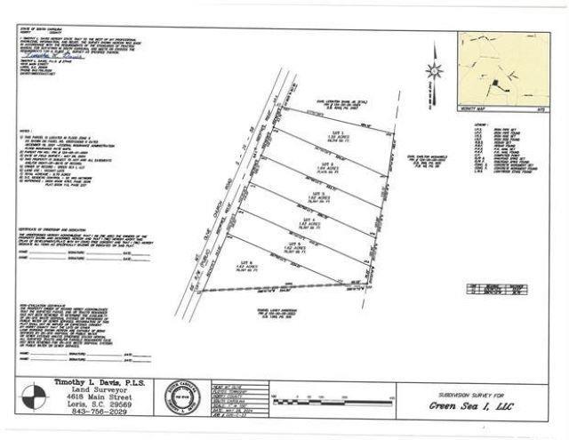
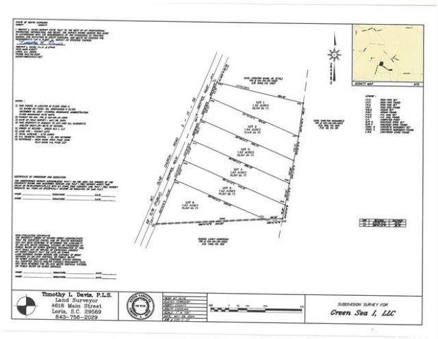
Fantastic tract of cleared land with exceptional soil (Lot 4). In the pictures, the second image shows a plat of the proposed subdivision for the tract. Please note that the land has not yet been subdivided, and the subdivision layout can be adjusted based on the buyer's needs. The owner is willing to sell either the entire tract or select lots, with the condition that the lots be purchased in sequence, either from left to right or right to left—no random selections. The lot will require a well and septic system. There are certain restrictions in place for building on this land. Homes must be stick-built, modular, or doublewide, with a minimum of 1,200 sq ft. A covered front porch of at least 4x8 is required, and the foundation must be made of stone or brick—plastic or vinyl underpinnings are not allowed. Additionally, there must be at least one stall in the carport. If a mobile home is placed on the property, it must be 2015 or newer. This is a great opportunity for someone looking for a property with flexibility and room for customization.
What's YOUR Home Worth?
Price Change History
$47,500
$39,900
$34,900
Map
©2026CTMLS,GGMLS,CCMLS& CMLS
The information is provided exclusively for consumers’ personal, non-commercial use, that it may not be used for any purpose other than to identify prospective properties consumers may be interested in purchasing, and that the data is deemed reliable but is not guaranteed accurate by the MLS boards of the SC Realtors.


















