Status: For Sale
- Days For Sale
- 486
Location
- Area:01A Loris Area--West of Loris & North of HWY 9
- City:Green Sea
- County:Horry
- State:SC
- Subdivision: Not within a Subdivision
- Zip code:29545
Amenities
Description
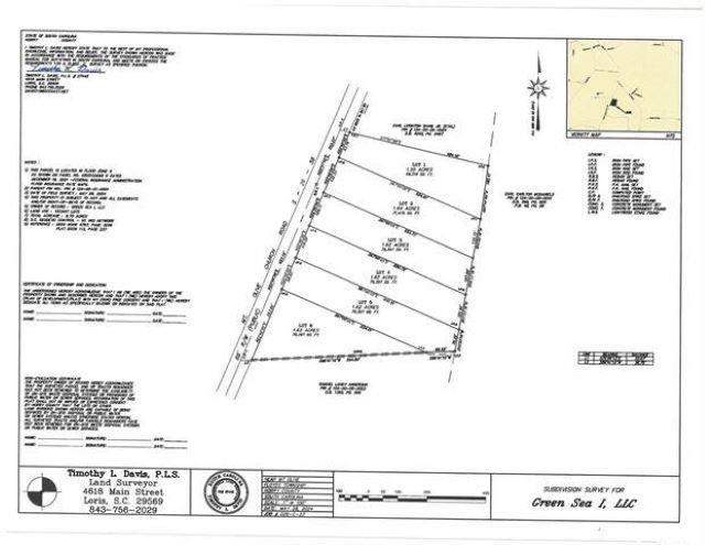
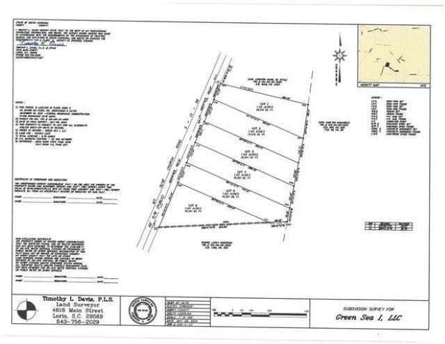
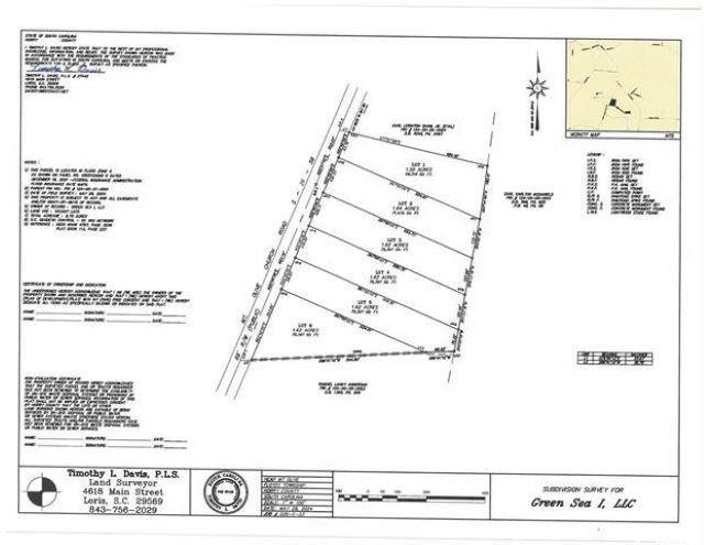
This fantastic tract of cleared land offers exceptional soil and endless possibilities. In the pictures, the second image showcases a plat of the proposed subdivision, including Lot 4, though the land has not yet been officially subdivided. The subdivision layout can be customized to meet the buyer’s needs, providing flexibility and room for your vision. The owner is open to selling the entire tract or select lots, with the condition that lots be purchased sequentially, either from left to right or right to left—no random selections are permitted. The property will require a well and septic system, making it ideal for those looking to create a home tailored to their preferences. Located less than an hour from Myrtle Beach, this property offers convenient access to world-class dining, shopping, and golf. Whether you're envisioning a mobile home or a stick-built home, this is the perfect opportunity to create your dream residence in a highly desirable location.
What's YOUR Home Worth?
Price Change History
$249,900
$224,900
$194,900
$179,900
$169,900
$149,900
Map
©2026CTMLS,GGMLS,CCMLS& CMLS
The information is provided exclusively for consumers’ personal, non-commercial use, that it may not be used for any purpose other than to identify prospective properties consumers may be interested in purchasing, and that the data is deemed reliable but is not guaranteed accurate by the MLS boards of the SC Realtors.


















