Status: For Sale
- Days For Sale
- 43
Location
- Area:Rural W Lexington Co - Batesburg etc
- City:Leesville
- County:Lexington
- State:SC
- Zip code:29070
Amenities
Description
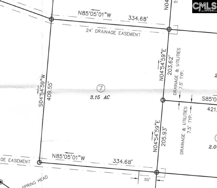
Lot 7 is a 3.15 acre parcel being offered as part of a 9 lot development of large lots. Conveniently located 1 mile off of Hwy 1 near the new Lexington West County offices. Wooded lot offering privacy and space. Septic permit in hand. New water line installed at road should be active in the coming months. Lot sizes and lines subject to change based on jurisdictional approvals. Light restrictions will apply. No manufactured homes. Buyer or Buyer’s builder will be responsible for meeting county requirements for stormwater control per lot. Engineer of record is shown on survey. Portion of TMS 00500005009 Owner/Agent. Shared driveway access. Disclaimer: CMLS has not reviewed and, therefore, does not endorse vendors who may appear in listings.
What's YOUR Home Worth?
Map
©2026CTMLS,GGMLS,CCMLS& CMLS
The information is provided exclusively for consumers’ personal, non-commercial use, that it may not be used for any purpose other than to identify prospective properties consumers may be interested in purchasing, and that the data is deemed reliable but is not guaranteed accurate by the MLS boards of the SC Realtors.


















