This site refreshes every 15 minutes, so the listings are always live, fresh, and current from all SC major market MLS boards with the newest properties
$42,000

Status: Sold

Price Drop (-10.64%)
Sold 06/23/2025
Property type: Vacant Land - Lot
List Date: 2025-01-02
Lot Size: 1.6200 acres
Days For Sale
279

Amenities

  • Acreage
  • Electricity Available
  • Outside City Limits
  • Rectangular
  • Rectangular Lot
  • Septic Available

Description

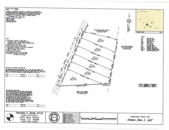
This is a fantastic tract of cleared land with exceptional soil. In the second picture, you will see a plat of the proposed subdivision for the tract, which includes Lot 6. This lot already has a well and septic system in place. At this time, the land has not been subdivided, and the subdivision layout can be adjusted based on the buyer's needs. The owner is open to selling the entire tract or a few lots, with the stipulation that lots must be purchased in sequence, either from left to right or right to left—random selections are not allowed. There are certain building restrictions for this property. Homes must be stick-built, modular, or doublewide, with a minimum of 1,200 sq ft. A covered front porch of at least 4x8 feet is required, and the foundation must be stone or brick—no plastic or vinyl underpinnings are permitted. Additionally, a carport with at least one stall is required. If placing a mobile home on the property, it must be 2015 or newer. This is an excellent opportunity to purchase land with great potential and flexibility.

What's YOUR Home Worth?

Price Change History

  1. $54,900

  2. $47,000

  3. $42,000

Schools

6-12 SPED Schools in 29545

Name
Address
Phone
Type
Grade
4990 Tulip Grove Road
8433923131
Public
6-12 SPED

PK-5 SPED Schools in 29545

Name
Address
Phone
Type
Grade
5000 Tulip Grove Road
8433921078
Public
PK-5 SPED

  • A
  • B
  • C
  • D
  • E
  • F
  • G
  • H
  • I
  • J
  • K
  • L
  • M
  • N
  • O
  • P
  • Q
  • R
  • S
  • T
  • U
  • V
  • W
  • X
  • Y
  • Z

Map

James Schiller

Realtor, Brand Name Real Estate

Happy Clients

SEE THIS PROPERTY



    lonnie@nexthometheagencygroup.com

    ©2025CTMLS,GGMLS,CCMLS& CMLS

    The information is provided exclusively for consumers’ personal, non-commercial use, that it may not be used for any purpose other than to identify prospective properties consumers may be interested in purchasing, and that the data is deemed reliable but is not guaranteed accurate by the MLS boards of the SC Realtors.

    Listing Provided by NextHome The Agency Group MB

    TBD Mount Olive Church Rd., Green Sea, SC 29545
    MLS #29545
    $42,000
    SHARE

    SC mortgage interest rates live. View the latest and most current home loan mortgage interest rates in South Carolina.