- Days For Sale
- 70
Location
- Area:A North Myrtle Beach Area--Cherry Grove
- City:North Myrtle Beach
- County:Horry
- State:SC
- Subdivision: Cherry Grove
- Zip code:29582
Amenities
Description
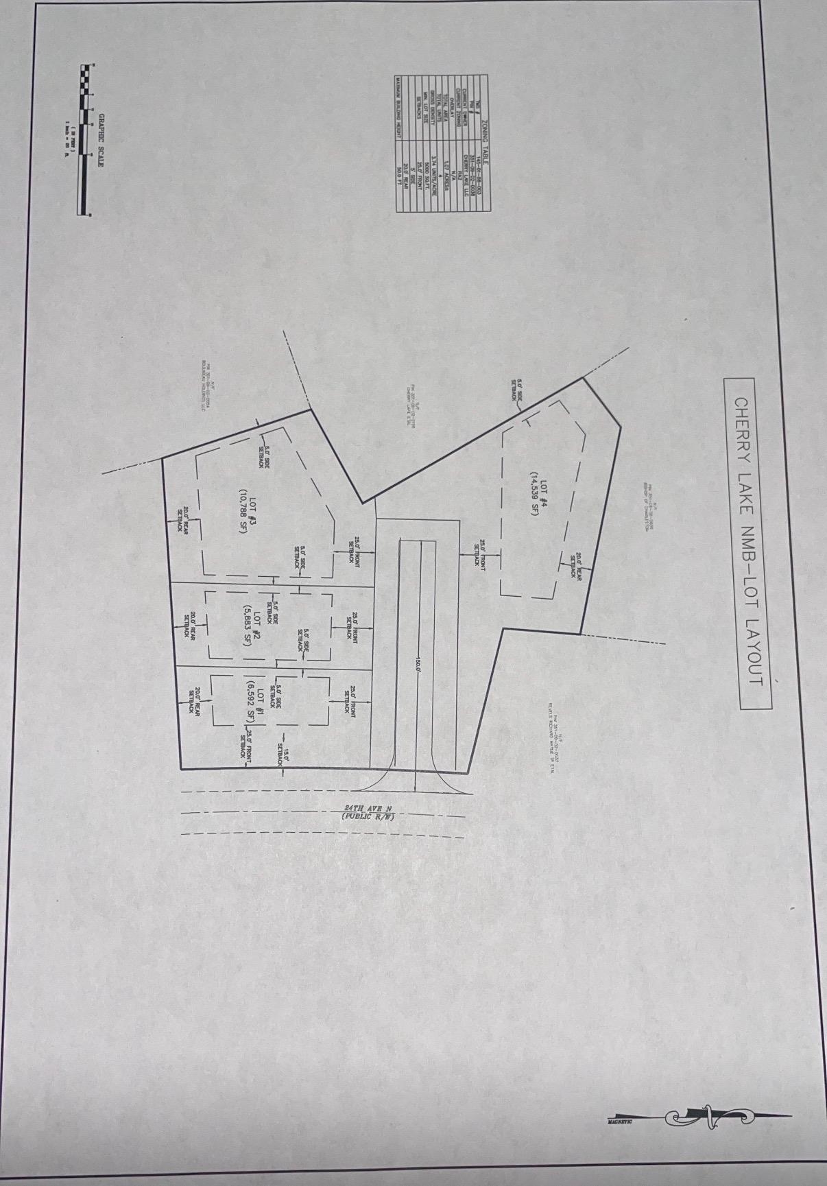
Take a look at this beautiful piece of property in Cherry Grove Beach! This 1.07 Acre mostly cleared lot in Cherry Grove is zoned Highway Commercial which opens up tons of possibilities for future uses! Whether you are looking for development space for single family homes, multi family units and complexes, townhomes, manufactured homes or commercial possibilities such as retail stores, professional complexes, warehousing, storage facilities, this lot is a viable option! Ask your agent for a full list of possibilities! Seller has an approved split plan from the city of North Myrtle Beach to break it into 4 home sites currently. Come drive by this piece of land in North Myrtle Beach located within a 3 minutes to the Grand Strands beautiful beaches today! This is a very unique opportunity ,lots like this do not come along often so give me a call for more details!
What's YOUR Home Worth?
Schools
PK-5 Schools in 29582
SEE THIS PROPERTY
©2026CTMLS,GGMLS,CCMLS& CMLS
The information is provided exclusively for consumers’ personal, non-commercial use, that it may not be used for any purpose other than to identify prospective properties consumers may be interested in purchasing, and that the data is deemed reliable but is not guaranteed accurate by the MLS boards of the SC Realtors.


















